Today's News... Yesterday's Music

Today's News... Yesterday's Music

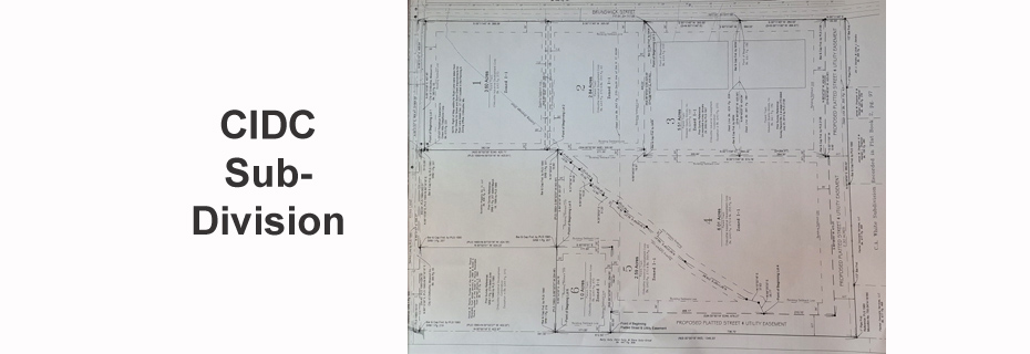
Council Approves Final Plat For CIDC Subdivision

The final plat for the CIDC Subdivision was approved by the Chillicothe City Council.  Codes Officer Gill Gates explained the location of the property south of Ryan Street.

Gates says the purpose of the replat was to clean up the boundry line.

Funeral Announcements

April 23, 2026

Jimmy Allen Marshall

News

April 23, 2026

Murder Charge

News

April 23, 2026

Robbie Acton Trial Moved To Henry County

News

April 23, 2026

Historic Preservation Commission Meeting

News

April 23, 2026

School Board Approves New Scoreboard At Litton Stadium